조황관리HOME / 조황관리 / 상세정보

제목 : 3/27 격포해오름호 먼바다우럭낚시 조황입니다
등록일 : 2026-03-27



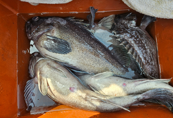
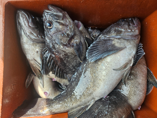
3/27 먼바다우럭낚시 조황입니다 
오늘도 씨알좋은 덩어리 개우럭으로 
6자.5자등 쌍걸이 쓰리걸이로 손맛보시고 입항하셨습니다 
한마리를 잡아도 덩어리 개우럭이라내요~
함께하신 조사님들 수고하셨습니다 
내일도 좋은 조황 기대해봅니다 
항상 출조대비 꾸준한 조황으로 보답하기위해 최선을 다하고있습니다 
해오름피싱 063-584-5900 
격포해오름호 선장010-9106-6626
1000082519.jpg


1000082527.jpg


1000082524.jpg


1000082521.jpg


1000082529.jpg


1000082531.jpg


1000082499.jpg


1000082535.jpg


1000082504.jpg


1000082487.jpg


1000082497.jpg


1000082500.jpg


1000082526.jpg


1000082522.jpg


1000082513.jpg


1000082507.jpg


1000082506.jpg


1000082508.jpg


1000082509.jpg
 


=== 해오름피싱 예약안내 ===


예약문의 : 010-9106-6626

오시는길 : 전북 부안군 변산면 격상길 25-14

홈페이지 : http://haeorm.sunsang24.com/


모바일.gif



Top