조황관리HOME / 조황관리 / 상세정보

제목 : 3/26 격포해오름호 우럭낚시 조황입니다
등록일 : 2026-03-26



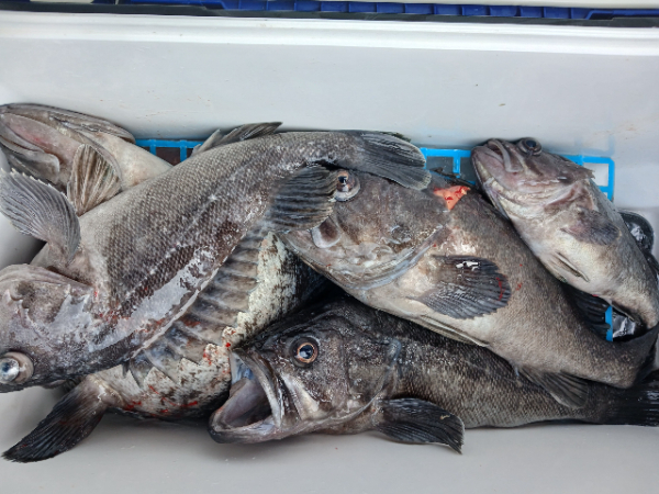
3/26  먼바다우럭낚시 조황입니다 
하루종일 해무로 인해 흐린날씨탓에 
입질이없어 고생하셨습니다 
열심히 한결과 점심먹고 입질이살아나
씨알좋은 덩어리 개우럭으로 골고루 손맛보시고 쌍걸이등도 올라와주내요
드실만큼은 손맛보셨내요 
함께하신 조사님들 수고하셨습니다 
내일은 좋은 날씨를 기대해봅니다 
30일에도 먼바다우럭낚시 출조합니다 물때도 좋고 기상도 좋을듯합니다 
같이출조하실분 연락주세요 
해오름피싱 063-584-5900 
격포해오름호 선장010-9106-6626
1000082219.jpg


1000082232.jpg


1000082229.jpg


1000082228.jpg


1000082235.jpg


1000082231.jpg


1000082241.jpg


1000082233.jpg


1000082234.jpg


1000082220.jpg


1000082221.jpg


1000082223.jpg


1000082222.jpg


1000082200.jpg


1000082201.jpg


1000082204.jpg


1000082202.jpg


1000082203.jpg


1000082205.jpg
 


=== 해오름피싱 예약안내 ===


예약문의 : 010-9106-6626

오시는길 : 전북 부안군 변산면 격상길 25-14

홈페이지 : http://haeorm.sunsang24.com/


모바일.gif



Top