조황관리HOME / 조황관리 / 상세정보

제목 : 2/28 격포해오름호 꾸준한 우럭낚시 조황입니다
등록일 : 2026-02-28



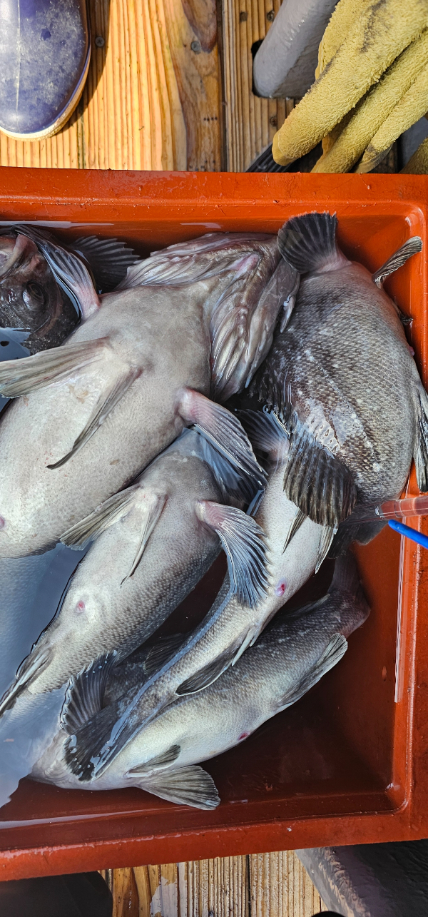
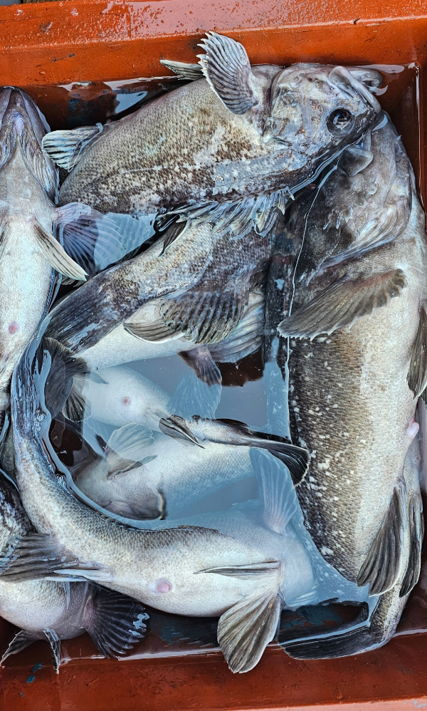
2/28 먼바다우럭 조황입니다 
오늘도 씨알좋은 덩어리우럭 6자.5자
쌍걸이등으로 골고루 손맛보셨습니다 
함께하신 조사님들 수고하셨습니다 
내일도 좋은 조황 기대해봅니다 
영등철에도 덩어리우럭으로 출조대비 꾸준한 조황으로 손맛보실수있도록 
최선을 다하고있습니다 
해오름피싱 063-584-5900 
격포해오름호 선장010-9106-6626
1000080258.jpg


1000080256.jpg


1000080259.jpg


1000080285.jpg


1000080287.jpg


1000080291.jpg


1000080289.jpg


1000080293.jpg


1000080274.jpg


1000080281.jpg


1000080294.jpg


1000080296.jpg


1000080278.jpg


1000080284.jpg


1000080262.jpg


1000080282.jpg


1000080283.jpg


1000080265.jpg


1000080276.jpg
 


=== 해오름피싱 예약안내 ===


예약문의 : 010-9106-6626

오시는길 : 전북 부안군 변산면 격상길 25-14

홈페이지 : http://haeorm.sunsang24.com/


모바일.gif



Top