조황관리HOME / 조황관리 / 상세정보

제목 : 2/27 격포해오름호 우럭낚시 조황입니다
등록일 : 2026-02-27



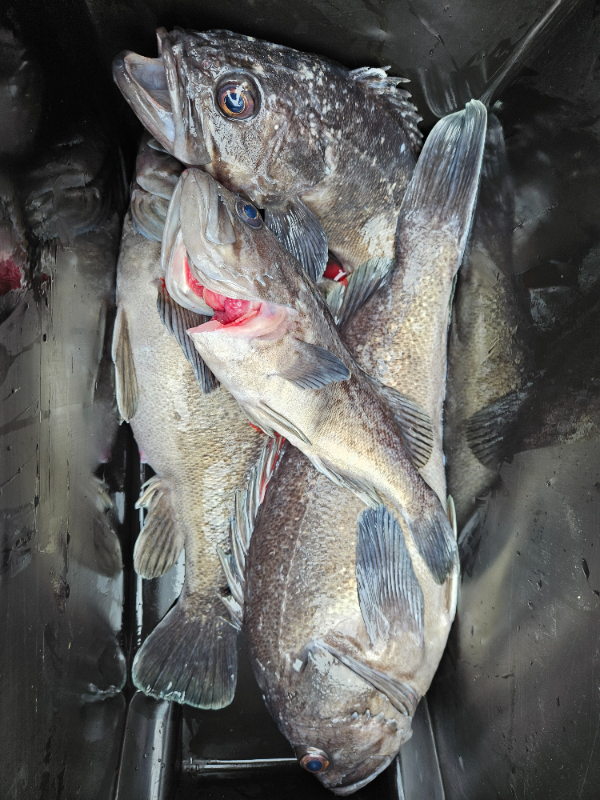
2/27 먼바다우럭낚시 조황입니다 
오늘도 여기저기 포인트 이동해서 씨알좋은 덩어리우럭으로 골고루 손맛보시고 입항하셨습니다 
덩어리우럭 6자 5자등. 쌍걸이등으로
영등철인데도 불구하고 
가족과 드실만큼은 손맛보셨내요 
함께하신 조사님들 수고하셨습니다 
내일도 골고루 손맛보실수 있도록 노력하겠습니다 
해오름피싱 063-584-5900 
격포해오름호 선장010-9106-6626
1000080163.jpg


1000080167.jpg


1000080162.jpg


1000080093.jpg


1000080092.jpg


1000080090.jpg


1000080094.jpg


1000080095.jpg


1000080097.jpg


1000080164.jpg


1000080166.jpg


1000080161.jpg


1000080159.jpg


1000080091.jpg


1000080108.jpg


1000080109.jpg


1000080110.jpg


1000080155.jpg


1000080156.jpg
 


=== 해오름피싱 예약안내 ===


예약문의 : 010-9106-6626

오시는길 : 전북 부안군 변산면 격상길 25-14

홈페이지 : http://haeorm.sunsang24.com/


모바일.gif



Top