조황관리HOME / 조황관리 / 상세정보

제목 : 2/25 격포해오름호 우럭낚시 조황입니다
등록일 : 2026-02-25



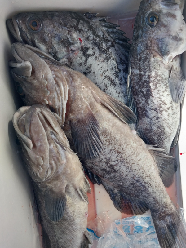
2/25 먼바다우럭 조황입니다 
오늘 예보와다르게 오전내내 파고가 심해서 낚시하시는데 고생하셨습니다 
어려운 여건에도 여기저기 포인트 찾아다닌결과 씨알좋은 덩어리우럭
5자 4자등 쌍걸이 쓰리걸이로 골고루 손맛보시고 입항하셨습니다 
영등철에 이정도면 괜찬은 조황입니다 
함께하신 조사님들 수고하셨습니다 
27일(금요일)에 기상이 좋아졌내요 
비예보는 없어졌어요 
몇자리 여유있습니다 
같이출조하실분 연락주세요 
해오름피싱 063-584-5900 
격포해오름호 선장010-9106-6626
1000079839.jpg


1000079838.jpg


1000079837.jpg


1000079879.jpg


1000079878.jpg


1000079877.jpg


1000079876.jpg


1000079875.jpg


1000079874.jpg


1000079873.jpg


1000079872.jpg


1000079860.jpg


1000079840.jpg


1000079865.jpg


1000079862.jpg


1000079868.jpg


1000079867.jpg


1000079864.jpg


1000079890.jpg
 


=== 해오름피싱 예약안내 ===


예약문의 : 010-9106-6626

오시는길 : 전북 부안군 변산면 격상길 25-14

홈페이지 : http://haeorm.sunsang24.com/


모바일.gif



Top