조황관리HOME / 조황관리 / 상세정보

제목 : 12/28 격포해오름호 먼바다우럭낚시 조황입니다
등록일 : 2025-12-29



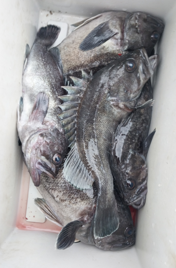
12/28 먼바다우럭낚시 조황입니다 
새벽에 내리는비 때문에 걱정했는데 그쳐서 다행이도 낚시하시는데 어려움이 없었내요
덩어리우럭 6자.5자등과 쌍걸이 쓰리걸이에 열기등 손맛보셨습니다 
함께하신 조사님들 추우신데 고생하셨습니다 
요즘은 기상이 안좋아서 출조계획을 잡기가 쉽지않습니다 
올해는 오늘이 마지막 출조일거같내요
기상이 허락하면 출조공지 하도록 하겠습니다 
해오름피싱 063-584-5900 
격포해오름호 선장010-9106-6626
1000076449.jpg


1000076448.jpg


1000076451.jpg


1000076452.jpg


1000076450.jpg


1000076435.jpg


1000076434.jpg


1000076445.jpg


1000076447.jpg


1000076446.jpg


1000076442.jpg


1000076444.jpg


1000076439.jpg


1000076441.jpg


1000076436.jpg


1000076443.jpg


1000076484.jpg
 


=== 해오름피싱 예약안내 ===


예약문의 : 010-9106-6626

오시는길 : 전북 부안군 변산면 격상길 25-14

홈페이지 : http://haeorm.sunsang24.com/


모바일.gif



Top